Data – Photogrammetry-Future Aerial White Logo@2x

For Those that want the world

Data – Photogrammetry-EiffelTowerMockup(Final)

For Those that want the world

Data – Photogrammetry

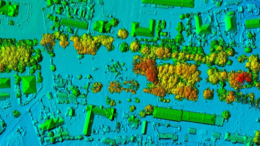
The vast majority of drones used for commercial purposes rely on photogrammetry as the method of turning individual images into complex 3D datasets.
Data – Photogrammetry-FA – PHOTOGRAMMETRY@2x

One survey, countless deliverables

No other sensor can provide such a vast array of deliverables in one survey, making drones the ideal solution for many projects.

We provide consistent, high quality drone data around the world. Explore the data types that we produce and their application in your projects by clicking one of the links below.

Photogrammetry Use Cases

Future Aerial provide data for a range of clients and for a multitude of purposes, here are a few examples:

If you need help to minimize costs and maximize efficiency and get the job done, get in touch today.

Standard Photogrammetry Deliverables

We acquire, process and deliver a broad range of digital outputs from our surveys, here are a few common examples:

Our depth of experience in navigating drone regulations coupled with our knowledge in GIS processing puts us in a unique position to deliver excellence, consistently for our clients.

If you need help to minimize costs and maximize efficiency and get the job done, get in touch today.